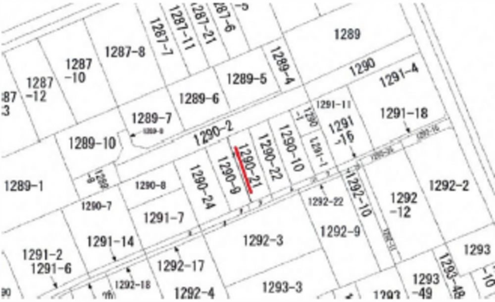
土地 広島市南区旭1丁目1-
所在地
広島市南区旭1丁目1-
3,150万円
31.74坪
建築条件無し 解体更地渡し
売主様にて境界確定測量実施
月々の
支払例
支払例
万円
年
%
円
※呉信用金庫/借入金3,150万円、返済期間40年、金利0.925%変動金利)の場合
※審査により金利は変わる可能性があります。
物件概要
- 交通
-
広島電鉄皆実線 南区役所前駅 まで 徒歩17分
バス停大学病院南門 まで 徒歩3分
- 接道状況
- 南東側 公道2.8m 間口約7.4m
- 土地面積
- 公簿 104.93㎡ (31.74坪)
- 建ぺい率
- 60%
- 容積率
- 160%
- 土地権利
- 所有権
- セットバック
- 有り 5.2㎡
- 小学校区
- 大河
- 中学校区
- 翠町
- 私道負担
- 建築条件
- なし
- 地目
- 宅地
- 現況
- 上物有更地渡し可
- 引渡時期
- 相談
- 上水道
- 下水道
- ガス
- 都市計画
- 市街化区域
- 用途地域
- 1種住居
- 設備・条件
- 備考
-
売主の契約不適合責任免責
準防火地域 セットバック約5.2㎡要
地番:1290-21、1290-23 - 取引態様
- 仲介

