土地 広島市南区東雲2丁目19-
所在地
広島市南区東雲2丁目19-
2,850万円
29.89坪
建築条件無し
好立地・希少物件
個人宅はもちろん社屋・自宅兼社屋にも
市内中心部はもちろん都市高速へのアクセス良好
上水25mm引込み有
月々の
支払例
支払例
万円
年
%
円
※呉信用金庫/借入金2,850万円、返済期間40年、金利0.925%変動金利)の場合
※審査により金利は変わる可能性があります。
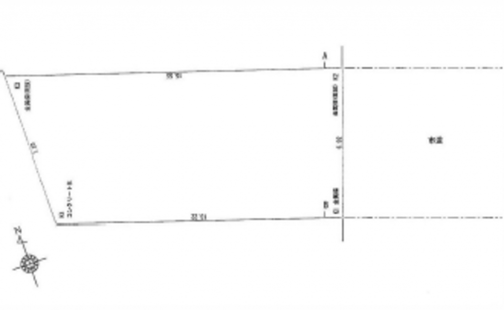
物件概要
- 交通
-
バス停市立工業高校入口 まで 徒歩1分
- 接道状況
- 南東側 公道8m 間口約6.92m
- 土地面積
- 公簿 98.84㎡ (29.89坪)
- 建ぺい率
- 80%
- 容積率
- 200%
- 土地権利
- 所有権
- セットバック
- 無し
- 小学校区
- 比治山
- 中学校区
- 段原
- 私道負担
- 建築条件
- なし
- 地目
- 宅地
- 現況
- 更地
- 引渡時期
- 相談
- 上水道
- 公共
- 下水道
- 公共
- ガス
- 都市計画
- 市街化区域
- 用途地域
- 1種住居
- 設備・条件
- 備考
-
公簿面積と実測面積に差異が生じていますが、
地積更正登記は行いません
令和7年度固都税:年額156,100円(更地の状態での課税額) - 取引態様
- 仲介

